


This website uses cookies to enhance usability and provide you with a more personal experience. By using this website, you agree to our use of cookies as explained in our Privacy Policy.
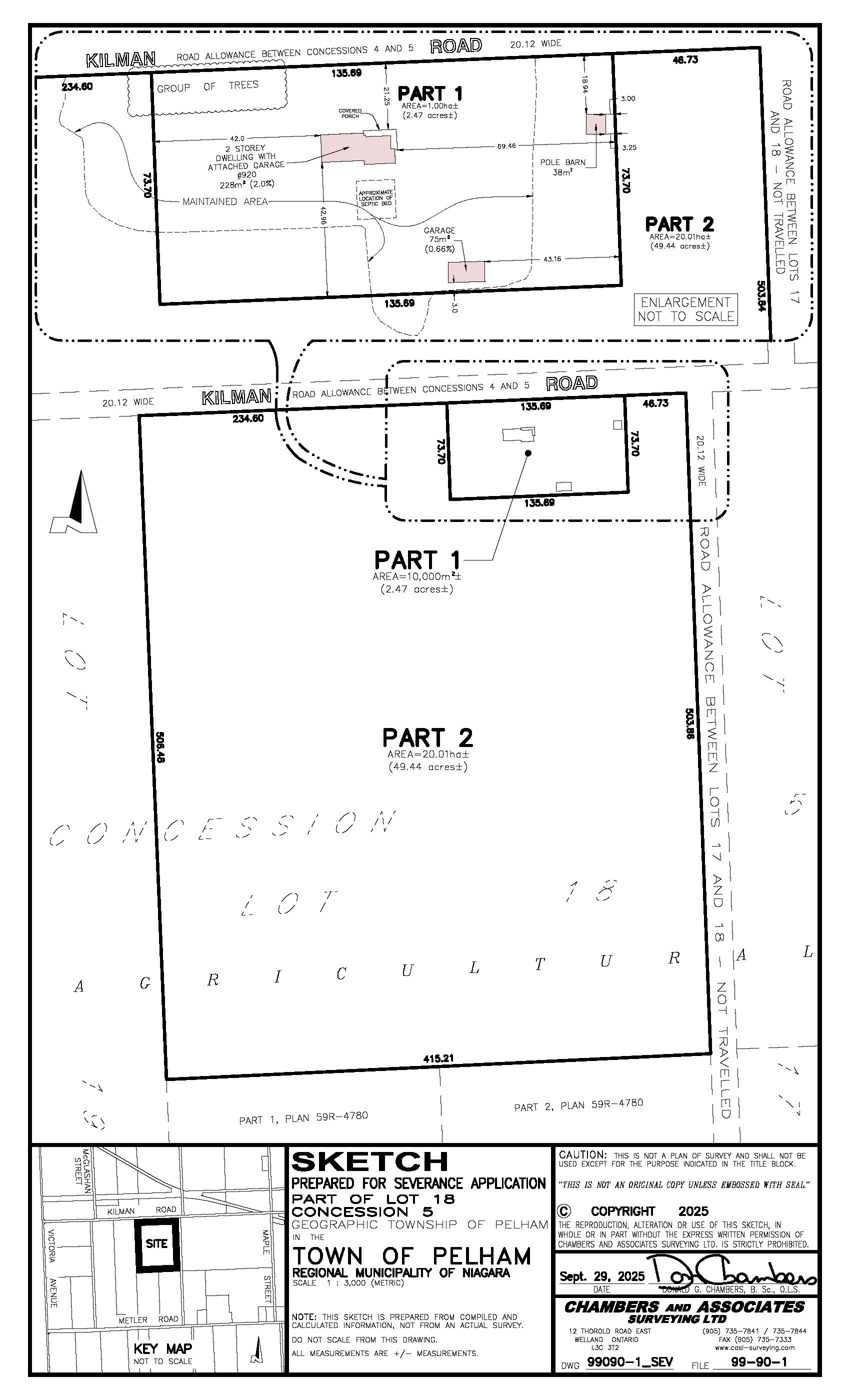
An application for Zoning By-law Amendment was received for the property located 920 Kilman Road known legally as Part Lot 18, Concession 5 in the Town of Pelham, Regional Municipality of Niagara.
The proposed Zoning By-law Amendment would rezone the lands from the Specialty Agricultural (SA) zone to the site-specific ‘SA-175’ (Specialty Agricultural Exception-175) zone to prohibit any future residential development on Part 2 as part of an agricultural-purposes only (APO) zoning.
The proposed rezoning is required as a condition of provisional consent approval (Town file: B10-2025P).
Date: Wednesday April 15, 2026 at 5:30 PM
Place: This hearing will be a hybrid (virtual/in-person) meeting.
Virtual Participation: Zoom Webinar / YouTube Livestream
In-person Participation: Town Hall, Council Chambers 20 Pelham Town Square, Fonthill
Town of Pelham Zoning By-law Amendment Livestream
Town Council approved hybrid meetings via By-law No. 4507 (2022). The Town of Pelham live webcast of the Public Meeting will be streaming on Youtube.
Notice of Public Meeting
Zoning By-law Amendment
Date: Wednesday April 15, 2026 at 5:30 PM
Place: This hearing will be a hybrid (virtual/in-person) meeting.
Virtual Participation: Zoom Webinar / YouTube Livestream
In-person Participation: Town Hall, Council Chambers, 20 Pelham Town Square, Fonthill
File Number: AM-02-2026
Subject Lands: 920 Kilman Road
An application for Zoning By-law Amendment was received for the property located 920 Kilman Road known legally as Part Lot 18, Concession 5 in the Town of Pelham, Regional Municipality of Niagara.
The proposed Zoning By-law Amendment would rezone the lands from the Specialty Agricultural (SA) zone to the site-specific ‘SA-175’ (Specialty Agricultural Exception-175) zone to prohibit any future residential development on Part 2 as part of an agricultural-purposes only (APO) zoning.
The proposed rezoning is required as a condition of provisional consent approval (Town file: B10-2025P).
Your Input is Encouraged: The Town of Pelham would appreciate receiving your written and/or verbal comments regarding this application. Unless indicated otherwise, personal information and all comments will become part of the public record and may be publicly released. To provide input in writing, or to request personal notice if the proposed applications are approved, please submit your correspondence or request by 12:00 PM on Monday, April 6, 2026 for inclusion in the public meeting agenda package c/o Deputy Town Clerk, Jodi Conte, PO Box 400, 20 Pelham Town Square, Fonthill, Ontario L0S 1E0, or by email at JConte@pelham.ca. Comments and requests received after this date will still be received by Council; however, they may not be published as part of the public meeting agenda. Verbal comments will be received by the Town at the public hearing via virtual or in-person participation. To provide verbal comments virtually at the hearing, please pre-register with the Deputy Town Clerk by sending an email to JConte@pelham.ca before 12:00 p.m. on Friday April 10, 2026. Zoom webinar registration information and procedure will be provided. To provide verbal comments in-person at the Public Meeting, pre-registration is encouraged but not required. Registrants will be notified of Council’s Decision.
Need More Information: For more information, please contact Andrew Edwards, MCIP, RPP, Planner, by email at AEdwards@pelham.ca or at 905-980-6666 or 905-892-2607 ext. 324. A copy of the staff report regarding the proposed application, as well as any additional information, may be obtained on the Town’s website at www.pelham.ca/920Kilman or at Town Hall by appointment after 12:00 PM on Friday April 6, 2026.
IMPORTANT INFORMATION:
Appeal rights for this proposed amendment may be limited under the Planning Act.
If a person or public body would otherwise have an ability to appeal the decision of the Town of Pelham’s Municipal Council to the Ontario Land Tribunal but the person or public body does not make oral submissions at a public meeting or make written statements to the Town of Pelham before the by-law is passed, the person or public body is not entitled to appeal the decision.
If a person or public body does not make oral submissions at a public meeting, or make written submissions to the Town of Pelham before the by-law is passed, the person or public body may not be added as a party to the hearing of an appeal before the Ontario Land Tribunal unless, in the opinion of the Tribunal, there are reasonable grounds to do so.
Dated at the Town of Pelham, this 25th day of March, 2026.
__________________________
Sarah Leach
Acting Town Clerk
Date of Publication: March 25, 2026
Sign up to receive Town of Pelham news and alerts
Stay up to date on the Town's activities, events, programs and operations by subscribing to our eNewsletters.